El huracán Hilary está a 515 kilómetros al sur-suroeste de Manzanillo, Colima y a 250 kilómetros al suroeste de Punta San Telmo, Michoacán.
.elfinanciero.com.mx
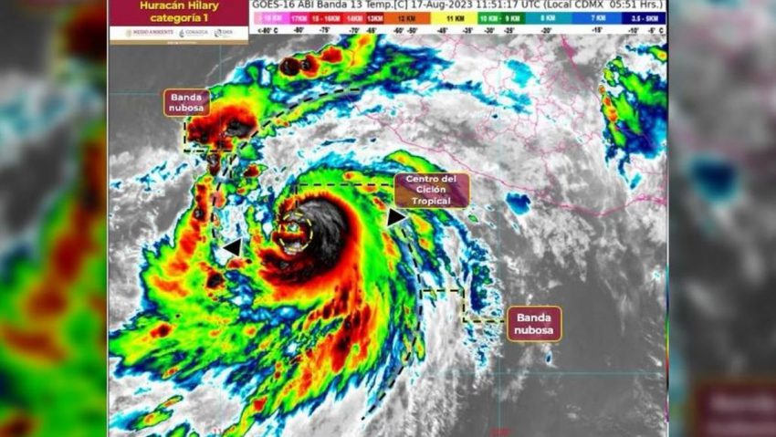
El Servicio Meteorológico Nacional (SMN) informó que Hilary se intensificó a huracán categoría 1 por lo que ocasionará lluvias muy fuertes, rachas de viento y oleaje elevado en el sur y occidente de México.
Su ubicación actual es a 515 kilómetros al sur-suroeste de Manzanillo, Colima y a 250 kilómetros al suroeste de Punta San Telmo, Michoacán.
La zona de vigilancia se mantiene al sur de Baja California Sur, de Cabo San Lázaro, en la costa oeste, hasta Cabo San Evaristo, en la costa oeste.
La trayectoria del huracán Hilary será hacia el oeste-noroeste a 20 kilómetros por hora, con vientos máximos de 120 kilómetros por hora y rachas de 150 kilómetros por hora.
¿Qué estados afectará el huracán Hilary?
La presencia del huracán Hilary ocasionará lluvias muy fuertes en Nayarit, Jalisco, Colima, Michoacán y Guerrero. También habrá lluvias fuertes en Guanajuato, Estado de México, Ciudad de México y Morelos.
En estas mismas entidades se esperan rachas de viento de 70 a 90 kilómetros por hora y oleaje de 4 a 6 metros de altura en las costas de Jalisco, Colima y Michoacán; así como rachas de 50 a 70 kilómetros por hora y oleaje de 3 a 5 metros en las costas de Guerrero.
El poder del huracán Hilary puede explotar en el océano caliente: Weather Watch
Es probable que el agua tibia haga que Hilary se intensifique rápidamente hasta convertirse en un gran huracán en los próximos dos días.
Se debilitará antes de tocar tierra en Baja California, pero continuará hacia el suroeste de EU y probablemente el sur de California con fuerza de tormenta tropical hasta el lunes.
“El ambiente está maduro para que Hilary se intensifique rápidamente durante los próximos días”, escribió Robbie Berg, meteorólogo del centro, en un análisis de pronóstico.
La intensificación rápida significa que los vientos de una tormenta aumentan en intensidad por lo menos 35 mph en 24 horas.
Algunos investigadores dicen que el cambio climático está haciendo que estos eventos sean más probables, ya que los océanos se ven obligados a absorber más calor.
El fenómeno es peligroso porque una tormenta que explota con fuerza puede sorprender a los residentes costeros y provocar más muertes, lesiones y destrucción.









